Skip To Content

0 Elkhorn Boulevard

North Highlands, CA 95660
  • $1,480,000
  • STATUS: Active
  • ON SITE: 159 Days
  • MLS #: 225074516
UPDATED: 44 min ago
$1,480,000
  • 0
    BEDS
  • 4.2
    ACRES
  • 0
    BATHS
  • 0
    1/2 BATHS
Type:
Vacant Land / Lots
County:

School Information

Elementary School:
Middle School:
High School:
School District:

Description

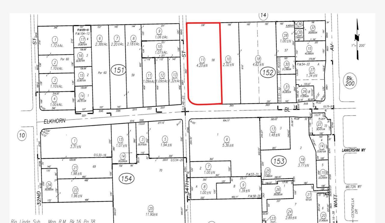
Highly motivated seller for prime commercial property located on Elkhorn Blvd, encompassing 4.20 acres in a highly desirable heavily trafficked area. Zoned M-1 (Light Industrial), this versatile site offers unparalleled potential for various development opportunities on a unique piece of real estate. The property boasts easy access and is located on a corner lot, making it an ideal location for businesses requiring seamless connectivity and visibility. Strategic Location: Situated in a high-traffic area with excellent visibility and accessibility. The property benefits from the traffic of Elkhorn Blvd. as well as being situated on a corner parcel (34th street. and Elkhorn Blvd). Zoning: M-1 zoning supports a variety of uses and offers both property investors and developers flexibility in utilizing the land. Leased Billboard - Leased billboard on property provides annual income paid in monthly installments.

Monthly Payment Calculator



Metrolist MLS logo © 2025 MetroList® MLS. All rights reserved. All measurements and all calculations of area are approximate. Information provided by Seller/Other sources, not verified by Broker. All interested persons should independently verify accuracy of information. Provided properties may or may not be listed by the office/agent presenting the information. Data last updated 2025-11-16T06:40:00.257. MetroList® MLS Terms of Use. IDX provided by BoomTown.
www.norcalhomepros.com/homes/164695282
Print Image

0 Elkhorn Boulevard North Highlands, CA 95660

  • Price: $1,480,000
  • Status: Active
  • On Site: 159 Days
  • Updated: 44 min ago
  • MLS #: 225074516
0
Beds
0
Baths
0
½ Baths
4.2
Acres
Neighborhood:
North Highlands& Vicinity
County:
Sacramento
Area:
North Highlands& Vicinity
Elementary School:
Sacramento Unified
Middle School:
Sacramento Unified
High School:
Sacramento Unified
School District:
Sacramento
Property Description
Highly motivated seller for prime commercial property located on Elkhorn Blvd, encompassing 4.20 acres in a highly desirable heavily trafficked area. Zoned M-1 (Light Industrial), this versatile site offers unparalleled potential for various development opportunities on a unique piece of real estate. The property boasts easy access and is located on a corner lot, making it an ideal location for businesses requiring seamless connectivity and visibility. Strategic Location: Situated in a high-traffic area with excellent visibility and accessibility. The property benefits from the traffic of Elkhorn Blvd. as well as being situated on a corner parcel (34th street. and Elkhorn Blvd). Zoning: M-1 zoning supports a variety of uses and offers both property investors and developers flexibility in utilizing the land. Leased Billboard - Leased billboard on property provides annual income paid in monthly installments.
Exterior Features

Crops None Lot Features Corner Road Frontage Type City Street Soil Unknown Total Parking Spaces 0 Vegetation None

Property Features

Additional Living Unit No Association No Association Fee 0 Current Use Commercial Development Status None Distance To Electric Electricity At Street Distance To Gas Gas In Street Distance To Phone Service Phone Within 500 Ft Distance To Sewer Sewer Within 500 Ft Distance To Water Public Within 500 Ft Elevation 0 Horse Property False Income Includes See Remarks Irrigation See Remarks Num Of Lots 0 Parking Fee 0 Possible Use CommercialIndustrialOtherRecreational Property Subtype Commercial Lot Property Type Land Sewer None Special Listing Conditions None Utilities NoneSee Remarks Water Source None Zoning M-1 Zoning Description Commercial

Metrolist MLS logo Listing provided courtesy of Paramveer Kaile, Real Estate Broker: . Listing information © 2025 MetroList Services, Inc.


Metrolist MLS logo © 2025 MetroList® MLS. All rights reserved. All measurements and all calculations of area are approximate. Information provided by Seller/Other sources, not verified by Broker. All interested persons should independently verify accuracy of information. Provided properties may or may not be listed by the office/agent presenting the information. Data last updated 2025-11-16T06:40:00.257. MetroList® MLS Terms of Use. IDX provided by BoomTown.
 
https://bt-photos.global.ssl.fastly.net/sacramento/1280_boomver_1_560874164-2.jpg
Logo
Brie Houlihan with Re/Max Gold
2998 Douglas Blvd #125
Roseville CA, 95661